New listings emailed daily! SIGN UP LOGIN

1325 1335 15th Street, Los Osos, CA 93402

$137,000
  • 1325 1335 15th Street, Los Osos, CA 93402 Main Photo

15 Total Photos [Click to View All]

Active
LOT SIZE 0.287 acres MLS#SC25088934
STATUSActive PROPERTY TYPELand - Residential SUBDIVISIONTown of El Moro(680)

Listing Courtesy of: Century 21 Masters
Agency Phone: 805-528-2000
Associate Name: Debbi Crossland
IDX logo


Listing Shown by: Farrell Smyth, Inc.
Agency Phone: 805-543-2172


Property Description

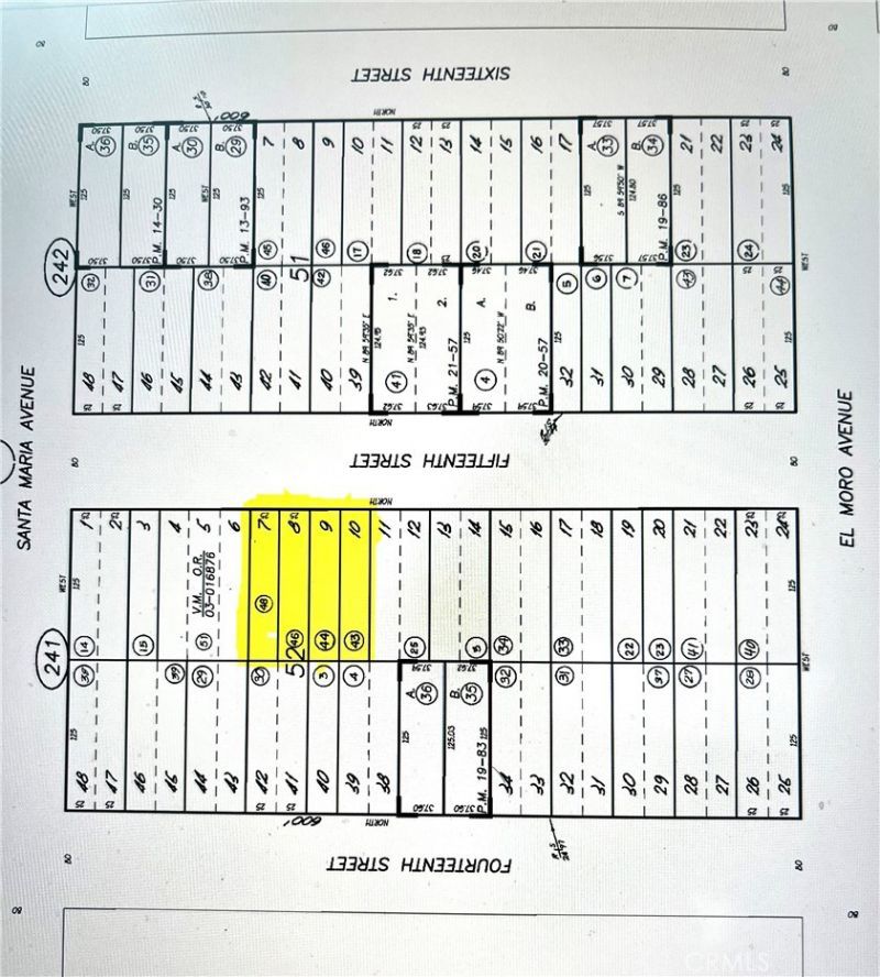
This is an opportunity to purchase a 12,500 sq. ft. unimproved parcel in the bayside community of Los Osos. This is a bulk sale consisting of four adjoining 25 X 125 lots to be sold together, equaling 100 of street frontage. With distant views of the bay, sand dunes, and surrounding hills from street level, it is sure to be a terrific homesite when building is permitted. Youll be a part of a wonderful community offering a coastal lifestyle along with all the amenities this area has to offer. One of the lots is #211 on the Los Osos Waitlist for Building Permits and lot size says 12,500 sq ft. Check with SLO County Dept of Planning & Building to investigate the potential of building on vacant lots in Los Osos. Youll find some great information at https://www.slocounty.ca.gov/departments/planning-building/grid-items/communities-villages/los-osos

1325 1335 15th Street | MLS# SC25088934

This land located at 1325 1335 15th Street, Los Osos, CA 93402 is currently listed for sale with an asking price of $137,000. The property has approximately 0.29 Acres. Search Los Osos real estate on www.farrellsmyth.com today.

Property Features

Property Type: Land - Residential
Lot Size: 0.29 Acres

Feature Descriptions

Community Features: Biking, Golf, Hiking, Horse Trails, Park
Days on Site: 291
Fencing: None
Horse Amenities: Riding Trail
Lot Dimensions: 100' X 125'
Parcel#: 038241043
Sewer: None
Special View Info: Back Bay, Mountain(s), Peek-A-Boo
Utilities: None, Sewer Not Available, Water Not Available
Water: None

Listed By / Shown By

Listed By

Agency Name: Century 21 Masters
Agency Phone: 805-528-2000
Agent Name: Debbi Crossland

Shown By

Agency Title: Farrell Smyth, Inc.
Agency Phone: 805-543-2172

IDX logo

Estimate Your Payment

Estimated Payment

$ 344.86 per month $304.90 Principal & Interest $0.00 Property Tax (data not provided by mls) $39.96 Homeowner's Insurance

Change Payment Information

%
years/fixed
yearly
yearly (est.)
(Payments are an estimate and may vary by lender)

Login to My Homefinder

Pixel